La displasia de cadera es una de las afecciones más comunes y preocupantes en perros, especialmente en razas grandes como el Pastor Alemán, el Labrador Retriever y el Rottweiler. Esta condición afecta la articulación de la cadera del perro, lo que puede causar dolor, cojera y, si no se trata, incluso discapacidad permanente. En este artículo, exploramos qué es la displasia de cadera, sus causas, los síntomas que los dueños deben observar y las opciones de tratamiento disponibles para mejorar la calidad de vida de los perros afectados.
1. ¿Qué es la displasia de cadera en perros?
La displasia de cadera es una enfermedad hereditaria que afecta el desarrollo de la articulación de la cadera. En un perro sano, la bola de la cadera encaja perfectamente en la cavidad de la pelvis, lo que permite un movimiento suave y sin dolor. Sin embargo, en un perro con displasia de cadera, la bola y la cavidad no encajan correctamente, lo que provoca un mal alineamiento en la articulación. Esto genera fricción, dolor e inflamación en las áreas afectadas.
Esta condición puede ser más pronunciada en algunas razas de perros, pero también puede afectar a perros de tamaño mediano o pequeño. La displasia de cadera puede aparecer en cachorros jóvenes, pero es común que se desarrolle en perros adultos que han estado sometidos a estrés y desgaste en la articulación de la cadera durante años.
2. Causas de la displasia de cadera en perros
La displasia de cadera en perros es una enfermedad compleja que se ve influenciada por factores genéticos, ambientales y de desarrollo.
Causas genéticas
La principal causa de la displasia de cadera es la herencia genética. Si uno o ambos padres de un cachorro tienen displasia de cadera, el cachorro tiene más probabilidades de desarrollar la misma afección. Las razas de perros grandes y gigantes son más propensas a sufrir de displasia de cadera debido a sus cuerpos más grandes y su mayor peso. Sin embargo, la displasia de cadera también puede ocurrir en razas medianas y pequeñas.
Factores ambientales y de desarrollo
Además de los factores genéticos, ciertos factores ambientales y de desarrollo pueden contribuir a la aparición de la displasia de cadera. Algunos de estos factores incluyen:
- Exceso de peso: La obesidad aumenta la presión sobre las articulaciones y acelera el desgaste de la cadera.
- Crecimiento rápido: Los cachorros que crecen demasiado rápido, especialmente los de razas grandes, pueden desarrollar una cadera mal formada debido a un desarrollo anormal del hueso.
- Falta de ejercicio adecuado: La falta de ejercicio puede debilitar los músculos que sostienen la articulación de la cadera, lo que aumenta el riesgo de displasia.

3. Síntomas de la displasia de cadera en perros
Los síntomas de la displasia de cadera pueden variar dependiendo de la gravedad de la afección. Algunos perros pueden mostrar signos leves, mientras que otros pueden sufrir un dolor intenso y dificultades para moverse. Los síntomas más comunes incluyen:
1. Cojera o dificultad para levantarse
Uno de los primeros síntomas de la displasia de cadera es cojera, especialmente después de hacer ejercicio o al levantarse de una posición tumbada. Los perros afectados pueden tener dificultades para levantarse o caminar después de estar acostados durante un tiempo.
2. Rigidez o debilidad en las patas traseras
Los perros con displasia de cadera pueden tener rigidez en las patas traseras o debilidad al caminar. Esto puede ser más evidente después de hacer ejercicio o en climas fríos.
3. Dolor y sensibilidad en la cadera
El dolor es uno de los principales problemas asociados con la displasia de cadera. Los perros pueden mostrar signos de dolor al caminar o saltar, y es posible que no quieran realizar actividades que antes les gustaban, como correr o saltar.
4. Postura inusual
En algunos casos, los perros con displasia de cadera pueden adoptar una postura inusual, como caminar con las patas traseras separadas para reducir la fricción en las caderas.
5. Letargo y pérdida de movilidad
En casos más graves, los perros pueden volverse menos activos, pasar más tiempo acostados y mostrar una pérdida de movilidad en las patas traseras.
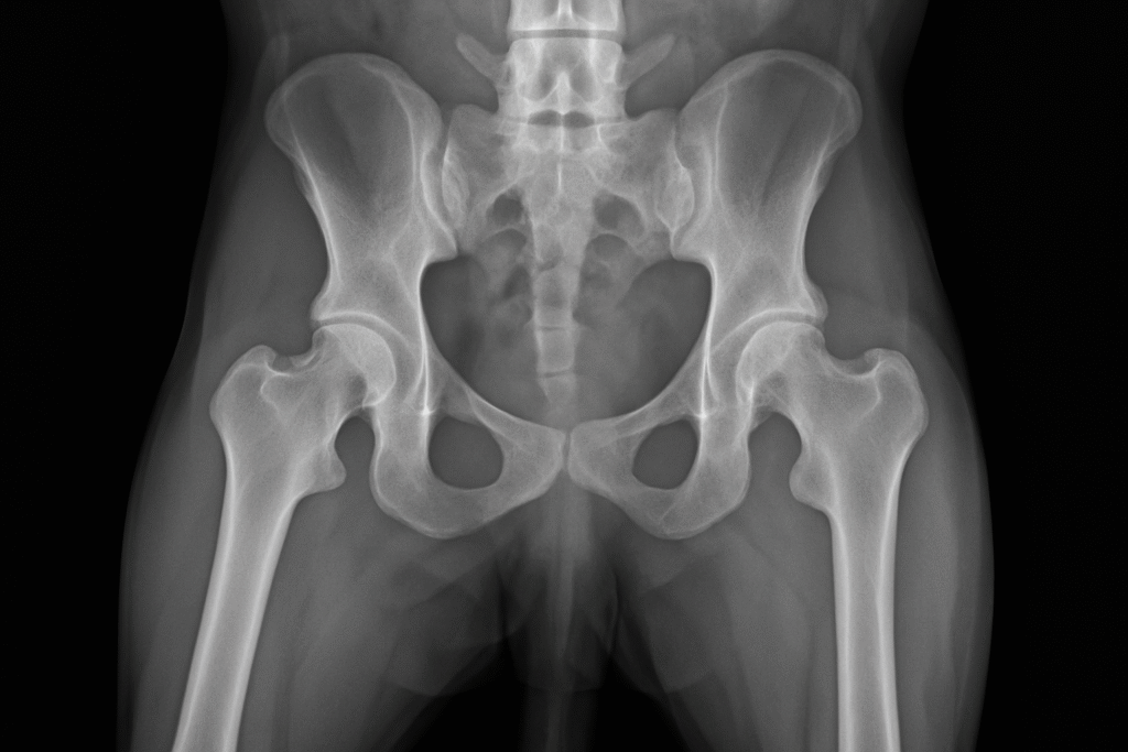
4. Diagnóstico de la displasia de cadera
El diagnóstico de la displasia de cadera generalmente se realiza a través de un examen físico y radiografías. Durante el examen físico, el veterinario evaluará la movilidad del perro y buscará signos de dolor o inflamación en las caderas.
Las radiografías son esenciales para confirmar el diagnóstico y evaluar el grado de displasia. Las radiografías permiten al veterinario ver la alineación de la cadera y determinar si el desgaste es suficiente como para requerir tratamiento.
5. Tratamiento de la displasia de cadera en perros
El tratamiento de la displasia de cadera depende de la gravedad de la condición y de la edad del perro. El objetivo del tratamiento es aliviar el dolor, mejorar la movilidad y mejorar la calidad de vida del perro afectado.
Tratamiento no quirúrgico
En casos leves a moderados, el tratamiento no quirúrgico puede ser suficiente para manejar los síntomas. Algunas opciones incluyen:
- Medicamentos antiinflamatorios: Los medicamentos como los AINEs (antiinflamatorios no esteroides) pueden ayudar a reducir la inflamación y el dolor en la cadera.
- Suplementos articulares: Los suplementos como el glucosamina y el condroitín pueden ayudar a mejorar la salud de las articulaciones y reducir el desgaste.
- Control de peso: Mantener un peso saludable es fundamental para reducir la presión sobre las articulaciones y mejorar la movilidad.
- Ejercicio moderado: Un programa de ejercicio controlado y bajo impacto, como caminatas suaves, puede ayudar a mantener los músculos fuertes y apoyar la cadera.
Tratamiento quirúrgico
En casos más graves de displasia de cadera, especialmente en perros jóvenes o aquellos con un dolor severo, puede ser necesaria una intervención quirúrgica. Las opciones quirúrgicas incluyen:
- Osteotomía de la pelvis: Un procedimiento que implica cambiar la posición de la cadera para mejorar la alineación y reducir la fricción.
- Reemplazo de cadera: En los casos más graves, el reemplazo total de cadera es una opción en la que se reemplaza la articulación dañada con una prótesis.

6. Prevención de la displasia de cadera
Aunque la displasia de cadera es en su mayoría hereditaria, los dueños pueden tomar ciertas medidas para minimizar los riesgos de desarrollo en sus perros:
- Seleccionar reproductores responsables: Asegúrate de que los perros reproductores hayan sido evaluados para displasia de cadera mediante radiografías antes de ser emparejados.
- Mantener un peso saludable: Evitar la obesidad es crucial para reducir la carga sobre las articulaciones.
- Ejercicio adecuado: Evitar el ejercicio excesivo en cachorros en crecimiento y proporcionar actividad moderada para perros adultos.
- Control veterinario regular: Las revisiones periódicas con el veterinario son esenciales para detectar problemas articulares en etapas tempranas.

7. Conclusión
La displasia de cadera es una afección dolorosa que afecta a muchos perros, especialmente a razas grandes, pero con un diagnóstico temprano y tratamiento adecuado, los perros pueden llevar una vida relativamente cómoda. Si notas cualquiera de los síntomas mencionados en tu perro, no dudes en consultar a un veterinario para obtener el diagnóstico y tratamiento adecuados. La prevención, mediante un control adecuado del peso y un ejercicio moderado, es esencial para reducir el riesgo de desarrollar esta enfermedad.
Preguntas Frecuentes (FAQ)
1. ¿Cuáles son las razas más propensas a la displasia de cadera?
Las razas grandes, como el Pastor Alemán, el Labrador Retriever, el Rottweiler y el San Bernardo, son más propensas a sufrir displasia de cadera debido a su tamaño y crecimiento rápido.
2. ¿La displasia de cadera se puede curar?
Aunque no se puede curar, se puede gestionar eficazmente con tratamiento. En algunos casos, la cirugía puede ser necesaria para aliviar el dolor y mejorar la movilidad.
3. ¿Cómo puedo saber si mi perro tiene displasia de cadera?
Los síntomas incluyen cojera, dificultad para levantarse, rigidez en las patas traseras, dolor al tocar las caderas y pérdida de apetito. Si notas estos síntomas, consulta a un veterinario.
4. ¿Es hereditaria la displasia de cadera?
Sí, la displasia de cadera tiene un componente genético. Es importante realizar pruebas de displasia de cadera en los perros reproductores para evitar la transmisión de esta condición.